HOBOKEN: NEWLY DISCOVERED DOCUMENTS PROVE NEW YORK WATERWAY DOES NOT NEED UNION DRY DOCK FOR FERRY MAINTENANCE FACILITY

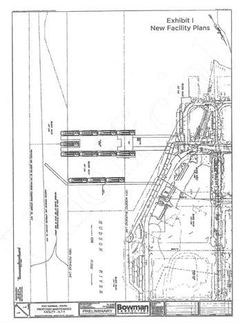
Caption: Rendering of New York Waterway’s “New Facility Plans” to continue ferry maintenance service in Weehawken
Today, Mayor Ravi S. Bhalla and the City of Hoboken released documents that demonstrate New York Waterway was planning for a ferry maintenance facility at its current site in Weehawken. In a letter from Arthur Imperatore, President of New York Waterway to New Jersey Transit in February, 2017, Mr. Imperatore confirmed plans were underway to construct a modern ferry maintenance facility, engineered by Bowman Consulting Group, at its current site in Weehawken. The letter revealed further proof that New York Waterway can continue to operate at its current location, and misled the public about a “transportation crisis”.
“Yet again, Arthur Imperatore and New York Waterway are exposed by another lie and blatant disregard for the truth,” said Mayor Bhalla. “Now we know for certain, through Mr. Imperatore’s own admission, that New York Waterway was planning for a ferry maintenance facility at its current site in Weehawken. Not only does this prove, once and for all, that New York Waterway does not need Union Dry Dock to operate a ferry maintenance facility, but that Mr. Imperatore himself purposefully misled the public about a self-imposed transportation ‘crisis’. New York Waterway owes the residents of Hoboken an apology for its history of lies and deception.”
“[W]e thought at that writing that we had lost the opportunity to purchase the Union Dry Dock Property many months ago and advised you we were planning for an alternative to be designed by Bowman Consulting Group and marine engineers, to come up with a suitable upgraded modern replacement facility at our site in Weehawken,” wrote Mr. Imperatore in the letter to Steve Santoro, the former Executive Director of New Jersey Transit under former Governor Chris Christie.
Earlier this year, Mayor Bhalla and the City of Hoboken made public the “Marina Agreement” which documented plans for a permanent refueling location in Weehawken, as opposed to Union Dry Dock. The agreement gave New York waterway 18 months to locate a new site for New York Waterway’s ferry maintenance facility, and if none was found, New York Waterway would relocate its facility to the Weehawken property, which is still owned by an affiliate of New York Waterway. This agreement was previously concealed by New York Waterway from the public and the City of Hoboken.
In July, the Hudson County Superior Court dismissed a lawsuit filed by New York Waterway against the City of Hoboken. In the dismissal, Judge Jablonski referred to New York Waterway’s claim that without the use of Union Dry Dock, a transportation crisis would occur, as “unfounded”.
Mayor Bhalla has asked the Hoboken City Council to grant him the potential use of eminent domain to obtain Union Dry Dock for a public park. The second reading of the vote authorizing eminent domain will occur at the regularly scheduled Council meeting on Wednesday, September 4 at 7:00 pm.
